三宅島サマースクール(ネイチャーキッズU4)スタート!

2013-08-05

8月4日~8月5日
U4三宅島サマースクールが始まりました。
4日の夜に竹芝桟橋に集まった22人の仲間たち、久しぶりに会うお友だち、初めて会うお友だちとさまざまですが、5泊6日の三宅島での生活を共にする仲間です。
フェリーに一晩乗り、5日の午前5時に島に到着!

これから始まるスクールにわくわくしてきました。
宿舎に到着。これからの生活のガイダンスを受けます。
まだ早朝で、船の長旅でもあったので、しばらく仮眠して休んでから活動開始です。
遅めの朝食の後、スノーケリングの道具を準備して宿舎を出発!
今日は大船戸海岸(伊ヶ谷港)でスノーケリングとスキンダイビングの練習です。
まずはしっかり準備体操です。
道具の使い方をリーダーからしっかり教わります。
バディーでお互いにチェックして、マスク・スノーケル・フィンをきちんと使えるように確認です。

グループに分かれてバディーを組み、リーダーについて行って海へ泳ぎだします。
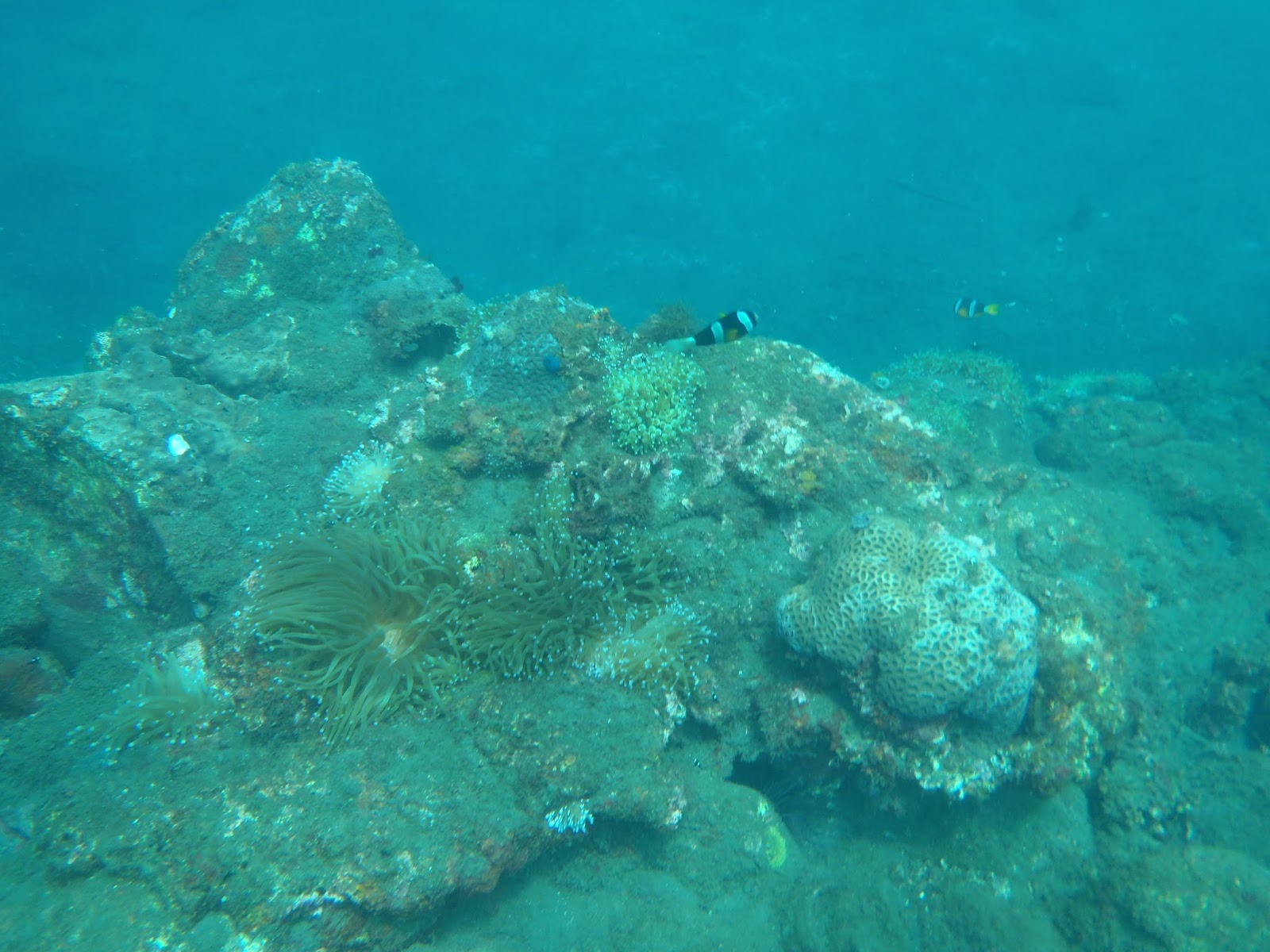
三宅島のきれいな海では、海の底までよく見えました。

フィンをはいていると、魚みたいに速く泳げました!

きれいな海の中でクマノミを見つけました!
潜れる子はクマノミを近くでじっくり見ることもできました♪
しっかり練習したあとは、お昼にお弁当をいただきました♪
夏の日差しは暑かったけど、お友だちといっしょに海で食べるお弁当はおいしいね!
午後は場所を移動して、大久保浜でスキンダイビングの練習と、フィッシュウォッチングです!
太平洋から打ち寄せる波は大きくて強くて、みんな波にもまれながら海に入りました。
こーんなきれいな海で泳いだよ!
海がとってもきれいで、10メートル以上の深さの海底がよく見えました!
みんな魚みたいに泳いだり潜ったり!
たくさんのきれいな魚をたくさん見つけられました♪
宿舎にもどってから、今日見つけた魚を図鑑で調べます。
いろいろな種類の魚がいたね!
夕食の後も今日の活動のふりかえりです。
リーダーの海ぱぱに三宅島のお話を聞いたり、フィッシュリストを作ったりしました。
今日だけで2か所の海で合計38種類もの魚を見つけることができました!
明日もしっかり海を楽しむぞー!!!